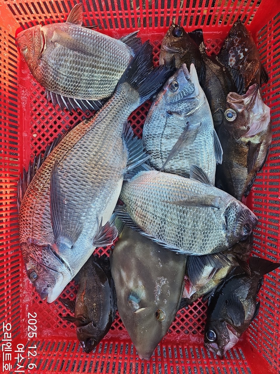
안녕하십니까 반갑습니다 금.토.일요일 오랜만에 금오열도 금오도 안도 대회팀들 모시고가이드 한번해 보았습니다 아직은 물속수온이 가을시즌인듯~40급 이상 감성돔은 많이 안보이지만 30전후 감성돔은 한자리두자리 숫자로 포인트마다 많이 나오는것 같습니다 ^^ 갈치도 끝나가고 상황봐서 중순부터 감성돔 갯바위등등 출조 함해볼까 생각중입니다 모다 편한밤 편한잠 하세요 감사합니다 ^!^문의 061 692 0042 010 8624 0049 Post Views: 169 Category: 갯바위조황By 오리엔트호2025년 12월 08일 Author: 오리엔트호 Post navigationPreviousPrevious post:어제밤 씨알좋습니다만 마릿수가 좀 아쉬운 조과였습니다NextNext post:금오열도 갯바위 감성돔낚시를 즐겨봅니다 수온이 높아 12월지만가을시즌양 30전후씨알이 주종입니다Related Posts소리도 작도 갯바위에서볼락낚시를 즐겨 보았습니다2026년 04월 22일서쪽은 밤새 바람 너울파도에 제대로된 낚시를 즐길수 없었습니다전체 고생만 하시구 좋질못해 아쉬웠습니다2026년 04월 06일어제오후 3시경 출항 새벽05시부터 철수 안도 작도권에서 밤볼락낚시를 즐겨보았습니다2026년 03월 17일3월13일 -안녕하십니까 반갑습니다2026년 03월 14일3월11일 – 초반시즌이라 포인트에따라 조과차이가 있었으며 일부조사들께서만쿨 하시기도2026년 03월 14일올겨울은 수온이 안떨져 볼락들이 조금빨리 움직이는듯 하네요2026년 03월 08일